12 PARCELLES À VENDRE A OUIDAH, VILLAGE ARTISANAL - DJÈGBADJI
| Référence: | 28 |
|---|---|
| Transaction: | Vente |
| Type de bien: | Terrain |
| Nombre de pièces: | - |
| Chambre è coucher: | - |
| Salle de bains: | - |
| WC: | - |
| Surface Total: | 400 |
| Surface habitable: | - |
| Département: | Atlantique |
| Ville: | Ouidah |
| Adresse: | DJÈGBADJI - OUIDAH |
| Prix: | 15 000 000 CFA |
| Prix/Nuit: | - |
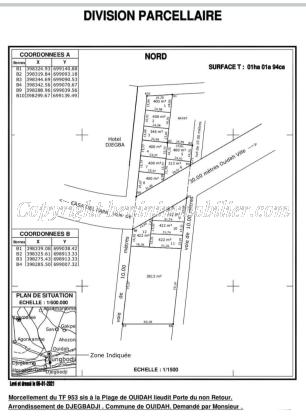
12 PARCELLES LOTIES & RECASÉES À VENDRE, VILLAGE ARTISANAL - HÔTEL DJÈGBA - DJÈGBADJI - OUIDAH
Il est mis en vente un domaine de 12 parcelles déjà loties et recasées d'une superficie de 400M² chacune issues du morcellement d'un domaine Titre Foncier situées au bord du goudron à côté de L'Hôtel Djègba dans l'arrondissement de Djègbadji à quelques 200M du Village Artisanal et à 300M de la Porte du non Retour à Ouidah Plage.
Documents disponibles :
Titre Foncier Global
Vente notariale
Prix : 15 millions FCFA / Parcelle
Honoraires Immobiliers
Caractéristiques du bien
- Parkings
- Piscine
- Jardin
- Climatiseur
- Gaz
- Chauffage
- Internet
- Surveillance
- Plage
Site adaptable à tous les types d’écrans